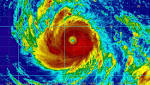
Typhoon 28W (Trami), # 28: Okinawa enters TCCOR 2 Stars and Stripes World weatherwatch: Super Typhoon Trami heads for Japan as US flooding remains The GuardianFull coverage from More Top Stories - Google News https://ift.tt/2OiEAPR
No comments